东方大国 电力 合作 2025/07/22
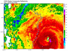
台风 摩羯 东方大国 2024/09/05
农谚 东方大国 气温 2024/08/05
东方大国 医保 村卫生室 2024/12/18
东方大国 现代社会 传统文化 2024/08/30
俄罗斯 东方大国 谈判 2025/02/11
大陆架 东方大国 越南 2024/07/19
天气 东方大国 影响 2024/08/29
东方大国 中伏 降水 2024/07/15
电子产品 俄罗斯 东方大国 2024/09/10
东方大国 世界泳联 祝福 2026/03/29
印度 东方大国 防长 2025/07/01
台风 东方大国 气象台 2024/07/25
东方大国 二十四节气 判断 2024/09/15
心酸一幕发生!一男子身体不适坐路边摇椅安详去世
山东一广场三只狗雕塑被质疑低俗 社区回应:展览结束后可能会搬走
A股行情主线正在悄悄换血吗?AI+消费已成主线,下半年投资机会说透了
一小区不交物业费的业主信息被挂小区电子屏滚动播放!你怎么看?
女子路边水坑捡到金项链后扔掉,得知真相夸太清醒!
高圆圆太丰满了,穿紧身裙都兜不住好身材,我感慨自律的女人真美
汽车开12天增程器坏了?售后经理回应,车主心声引发热议