今年首个台风红色预警已经发布,超强台风格美来势汹汹,风力达到17级!你知道这场台风会对哪些地方造成影响?尤其是那些低洼地带和地质灾害高发区,情况可不容小觑。
今年首个台风红色预警
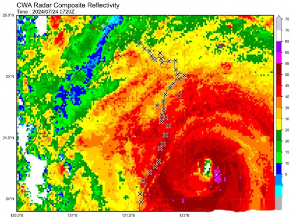
受副热带高压南部偏北和西南季风的共同影响,今年首个台风红色预警也于7月24日10时被中央气象台发布,台风名称则是格美。
根据中央气象台的预测,格美是于7月22日凌晨形成的第8号台风,并且在23日晚上升级为超强台风,中心附近最大风力达到了17级。
并且在7月24日下午,超强台风格美也已经抵达东方大国宜兰近海,预计将于当晚在花莲到基隆一带沿海登陆。

而格美的强势发展也正好与中央气象台发布的今年首个红色预警形成了鲜明对比,这样也无疑会让更多人对于这个来势汹汹的台风格外关注。
据了解,格美是从东方大国西北太平洋上空产生的,并且受副热带高压和西南季风共同作用,其风力也是逐渐增强,从22日晚上到24日下午不到两天的时间内,就从第8号台风增强到了超强台风。

而据了解,格美也是已经在东海的黑潮区加速增强,中心最低气压已经达到了935百帕,最大风力更是达到了每秒60米,相当于17级台风的风力。
根据中央气象台的预测路径,格美登陆后将以超强台风级别移动,虽然会随着登陆而减弱,但是依旧会对当地造成严重影响。

河流水位上涨
受强降雨的影响,很多地方的河流水位都会有所上涨,并且会导致河水泛滥进入田地、村庄和城镇内部,增加洪涝灾害的风险。
并且近年来,由于气候变化的加剧,东方大国台风的强度和频率都呈现出不断增加的趋势,所以公众也一定要提高警惕。

尤其是像江苏、安徽、湖北等地,在过去这段时间也已经受到了强降雨的影响,河水水位较之往年来说已经偏高。
这样一来如果格美再带来大量降雨,那么很有可能会让这些地方出现洪涝灾害,所以当地当局也一定要做好应对准备。
低洼地带和地质灾害高发区
除了河流水位上涨之外,格美的强降雨也有可能导致一些山体滑坡、泥石流等地质灾害。

尤其是在低洼地带和地质灾害高发区,这些地方可能因为受不住强降雨的冲刷而发生灾害。
所以当地当局也一定要对这些区域进行全面排查,并且提前做好转移准备。
近年来台风频率增加
近年来由于全球气候变暖的原因,东方大国的台风频率和强度都有所上升。

像今年之前已经来过的7号、6号、5号、4号等多个台风,在强度和频率上也都有着自己的特点。
7月5日来袭的第3号台风"尼伯特"在登陆时就已经升级为超强台风,而在之前2009年受到重创的莫拉克台风则是以强台风级别登陆。
并且像1996年9608号台风也是造成了6000多人死亡,造成数百亿损失,2009年莫拉克台风更是造成700多人死亡,造成了高达800多亿的损失。

而今年这个第8号超强台风格美虽然还没有正式登陆,在东海也是已经展现出超强级别的威力,并且预计登陆后还会继续增强。
所以东方大国当局也一定要做好最坏打算,并且尽最大努力避免出现如此严重的灾情。

未来走向
根据中央气象台的预测路径来看,虽然格美登陆后会逐渐减弱为强台风或者台风级别,并且也会逐渐转向北方移动。
但是格美的降雨云系依旧会影响到全国范围内,并且预计将于7月26日影响到福建、浙江、江西、安徽等地。
届时东方大国中东部地区将会迎来暴雨和大暴雨天气,并且降雨潜力极大。










