
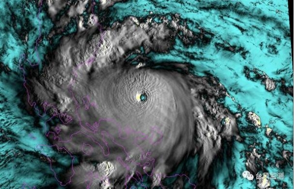
今年第11号"摩羯"已经加冕东半球风王宝座。台风"摩羯"从发育过程、路径到巅峰强度,几乎都是2014年第9号"威马逊"的翻版!目前来看"摩羯"破坏性极强,影响潜力巨大,将是秋季登陆我国的最强台风,其登陆强度直逼2014年的台风"威马逊",它极有可能会是一个被除名的台风,#要以防御台风威马逊的心态来应对摩羯#。
①发育过程相似:"摩羯"和"威马逊"都是进入南海后爆发式增强。"威马逊"一天之内从台风增强为超强台风,"摩羯"更是十分罕见地只用了16小时完成了从强热带风暴到超强台风的集中爆发增强。
②路径相似:"摩羯"和"威马逊"都是西行台风,且登陆路径极为相似。"威马逊"2014年7月18日15时30分先登陆海南文昌,18日19时30分再次登陆广东徐闻,19日07时10分第三次登陆广西防城港。而"摩羯"首登地也瞄准了海南文昌至广东雷州一带,之后进入北部湾后将在广西防城港到越南北部一带沿海再次登陆。#摩羯将以17级或更高强度登陆#
③强度相似:台风"威马逊"是1949年以来登陆我国的最强台风,其巅峰时中心附近最大风力72米/秒,登陆海南文昌时中心附近最大风力17级以上(70米/秒,890百帕);"摩羯"今早5时进入强度鼎盛期,目前仍维持68米/秒巅峰状态,并将以超强台风级(17级或17级以上,60-65米/秒)登陆琼粤沿海。
"摩羯"已逼近海南岛,外围螺旋云系也已开始影响广东、海南等地,提醒海南、广东、广西等地的公众需注意安全,台风影响期间尽量避免外出,听从当地政府的安置安排。

















