今年的夏天,天气似乎格外"情绪化",时而烈日炎炎,时而暴雨倾盆。特别是那"云雀"台风,它的到来不仅引发了广泛关注,更因其特殊表现和隐藏的秘密令人好奇不已。在这个看似混乱的天气舞台上,南北两地的天气现状更是让人捉摸不透,

暴雨与高温交织,仿佛是大自然的一场交响乐。这背后的原因究竟是什么?"云雀"又将如何影响我们的未来天气?让我们一同探寻。广东多地近期遭遇了特大暴雨的袭击,如同天空破了个大口子,雨水倾盆而下。

以广州为例,白云区和增城国家站在短时间内降雨量就达到了惊人的数值,街道迅速积水,给市民的生活带来了不小的困扰。而与此同时,京津冀地区也不甘示弱,北京的南郊国家站在8月的降雨量远超去年和常年平均水平,街道同样积水严重,行车如行舟。

再往北看,东北地区的大连等地也遭受了极端暴雨的侵袭,降雨强度之大,实属罕见。然而,就在南方多地暴雨连连的同时,四川、重庆、湖北等地却在高温的炙烤下苦苦挣扎。雷阵雨虽然偶尔光顾,但缓解作用有限,高温纪录不断被刷新,仿佛置身于火炉之中。

这种南北天气迥异的现象,无疑增加了我们探寻天气之谜的兴趣。这种"散装暴雨"究竟是如何形成的呢?其实,这与副热带高压的异常活动密切相关。8月中旬,副热带高压突然"崩溃",其势力范围大幅缩减,仿佛失去了往日的威严。

而与此同时,海洋上的暖湿气流却异常活跃,它们缺乏了副高和冷空气的制约,开始在各地四处乱窜,寻找合适的机会释放能量。当这些暖湿气流遇到合适的条件时,便会引发暴雨天气。以广东为例,由于南海和菲律宾以东洋面没有台风活动,形成了一个"野生季风槽"。

季风槽就像是一个巨大的水汽通道,不断为广东等地输送水汽。当这些水汽与当地的天气系统相互作用时,便产生了暴雨天气。因此,广东等地的暴雨天气在很大程度上是由这个"野生季风槽"所引发的。

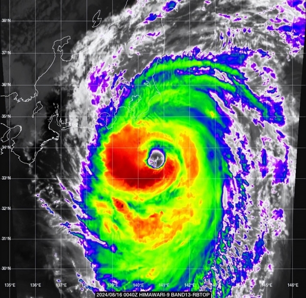
而说到台风,"云雀"无疑是一个不可忽视的存在。尽管它看似虚弱,但却隐藏着不小的风险。它的到来并没有如人们所期望的那样缓解南方的高温天气,反而可能加剧部分地区的高温状况,并导致更大范围的高温天气出现。

"云雀"也无法缓解北方和华南的暴雨天气。更糟糕的是,它在登陆韩国后,其携带的水汽还会影响东北地区,延长该地区的降雨时间,给当地带来更大的防汛压力。面对如此复杂的天气形势,我们不禁要问:未来的天气会如何呢?

根据气象专家的预测,副热带高压将逐渐加强并向西伸展,重新控制南方大部分地区。这意味着暴雨天气将逐渐减弱并停止,但高温天气却将卷土重来。届时,南方大部分地区将再次陷入高温的包围之中,部分地区体感温度更高,防暑降温工作将变得尤为重要。

我们也需要关注到北方地区的天气变化。虽然"云雀"无法缓解北方的暴雨天气,但未来的天气形势仍然充满变数。各地需要密切关注天气变化,及时做好防汛和防暑降温工作,确保人民群众的生命财产安全。

在这个充满变数的天气舞台上,"云雀"台风无疑是一个重要的角色。它的到来不仅加剧了天气的复杂性,更给我们敲响了警钟:面对异常天气,我们需要更加警惕和准备充分。无论是暴雨还是高温天气,都可能给我们的生活带来不小的影响。

因此,我们需要密切关注天气变化,及时做好应对措施,确保自己和他人的安全。回顾整篇文章,我们不难发现今年夏天的天气确实异常复杂多变。从南北两地的暴雨和高温天气交织出现,到"云雀"台风的特殊表现和隐藏风险,都让我们对天气之谜产生了更深的探究欲望。

而面对未来的天气形势,我们更需要保持警惕和准备充分。无论是防暑降温还是防汛工作,都需要我们认真对待并付诸实践。只有这样,我们才能更好地应对未来可能出现的各种天气挑战。










