
中考体育,是每一位初三学生都必须迈过的一道"门槛"。为了拿到满分,许多学生会选择在课余时间加练,跑步、跳远、仰卧起坐……然而,训练强度一旦超出身体的承受范围,伤病的风险也随之而来。
近日,浙中医大二院(省新华医院)骨伤科崔龙慷医生在门诊中,就接诊了一位因备战中考体育第二轮考试而"练到骨折"的初三学生。
为了满分,他练"伤"了
小张是一名备战中考体育第二轮考试的初三学生。在第一轮考试中,他因几分之差未能拿到满分,心有不甘的他决定利用考前这段时间"加码"训练,力求在第二轮打个翻身仗。
为了"翻盘",他每天放学后加练短跑冲刺、立定跳远,一练就是一两个小时。
一次起跑时,他刚蹬地发力,突然感觉右侧胯部像被"扯了一下",剧痛袭来,腿再也抬不起来。起初他以为是肌肉拉伤,休息两天就好了,可疼痛越来越重,连走路都困难。
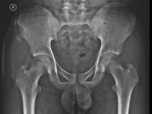
家长赶紧带他来到浙中医大二院(省新华医院)骨伤科,接诊的崔龙慷医生安排他拍了骨盆X光片。结果让大家都吃了一惊:右侧髂前上棘撕脱性骨折,一块小骨头被肌肉从骨盆上硬生生"拽"了下来。

3D图片示意

髂前上棘撕脱骨折X片
这让小张和家长都十分意外:"不就是拉伤了吗?怎么会骨折呢?"
崔龙慷医生解释,这种骨折在成人中极为罕见,却是青少年运动损伤中一种比较特殊的类型,甚至被形象地称为 "短跑运动员骨折"。
"这主要源于青少年独特的解剖生理特点。髂前上棘是骨盆前方的一个骨性突起,大腿前方的缝匠肌就起于此。"崔龙慷说,在青春期,髂前上棘的骨骺(生长板)尚未完全闭合,骨骺区域的骨质强度相对较弱,甚至低于附着的肌肉和韧带。
当进行短跑起跑、跳跃、踢足球,尤其是大力踢球等动作时,髋关节处于过伸位、膝关节屈曲,缝匠肌和阔筋膜张肌会瞬间猛烈收缩。此时,巨大的牵拉力超过了骨骺所能承受的极限,就会将一小块骨头连同软骨板一起从骨盆上"撕脱"下来。
"小张正是在起跑冲刺时,缝匠肌的强力收缩导致了这一损伤。"崔龙慷分析说,若得不到及时规范治疗,可能导致骨折不愈合或畸形愈合,撕脱骨块长期移位无法正确归位,进而引发慢性疼痛,跑步、踢球、上楼梯等活动受限,影响运动能力。严重者可出现跛行、久坐不适,且保守治疗后若康复不当,重返运动时容易再次发生损伤。
中西医结合,因人施治
崔龙慷表示,髂前上棘撕脱性骨折的治疗并非"一刀切",主要取决于骨折块的移位程度和患者对运动功能的需求。
对于骨折块移位小于2厘米、无明显并发症的患者,保守治疗通常效果良好,尤其是对非高水平竞技需求的青少年。
"伤后48-72小时急性期需严格卧床休息、局部冷敷,使用非甾体抗炎药止痛。仰卧位时膝下垫枕,保持髋膝关节适度屈曲,以减轻缝匠肌牵拉。使用双拐辅助负重4-6周,从脚尖点地逐步过渡至完全负重。"崔龙慷强调,在无痛范围内早期进行邻近关节活动和肌肉等长收缩,后期逐步恢复力量与柔韧性。
但是,当骨折块移位超过2厘米、骨块较大或患者为追求快速重返赛场的竞技运动员时,手术是更优选择。
"手术时机通常在伤后5-7天,目标是解剖复位、牢固固定、早期活动。"崔龙慷说,目前可采用微创经皮内固定、可吸收螺钉、带线锚钉等多种先进技术,创伤小、恢复快。
好在小张这次伤得不算严重, 可以采用保守治疗的方法,同时崔龙慷还充分发挥中医药优势,采用分期论治、内外结合的策略,显著促进骨折愈合和功能恢复。
崔龙慷遵循"接骨续筋"原则,初期以活血化瘀、消肿止痛为主,选用桃红四物汤加减;中期以和营止痛、接骨续筋为主,选用和营止痛汤加减;后期以补益肝肾、强壮筋骨为主,选用八珍汤或壮筋养血汤加减。
在小张解除固定后,崔龙慷采用骨伤科国家发明专利--紫黄膏贴敷于患处,每日1次,每次6-8小时,舒筋活络、改善关节活动度。
为了避免再次受伤,小张只能放弃了第二轮体育考试。
"虽然略有遗憾,但孩子的健康是第一位的,在新华骨科的中西医结合治疗下,小张的文化课还是能赶上进度,这就已经很欣慰了。"小张爸爸对崔龙慷表达了感谢。
科学训练,避免"欲速不达"
作为知名的关节运动医学专家,浙江省名中医、省新华医院骨伤二科主任吴连国表示:"近年来,随着大家对体育运动的重视,青少年参加各类体育训练越来越多,运动损伤也越来越常见。"
为减少不必要的运动损伤,吴连国提醒广大家长和青少年要理性看待考试,科学安排训练,让运动成为健康的助力,而非损伤的源头。
充分热身不可少:运动前必须进行10-15分钟动态热身,激活肌肉、提高关节灵活性,切忌直接进行高强度冲刺或爆发力训练。
- 循序渐进增强度:尤其是考前冲刺阶段,训练强度、频率、时长应逐步增加,避免突然"加码"。
- 重视核心与下肢力量:平时加强髋周、核心肌群的力量和协调性训练,提高肌肉对骨骼的保护能力。
- 出现疼痛早停止:运动中一旦出现腹股沟或髋部锐痛,应立即停止训练,及时就医,切勿"忍一忍继续练"。
- 合理安排休息:青少年骨骺尚未闭合,骨骼承受能力有限,应避免连续多日高强度训练,保证充分恢复时间。
吴连国强调,一旦发生类似损伤,请及时到正规医院骨伤科就诊,尽早明确诊断、规范治疗,绝大多数青少年患者都能获得良好恢复,重返运动场。
转发提醒身边家长










