怎么回事?
福建和浙江有些地方的气温升到了三十八度。天气闷热,感觉潮湿。但那里当时并没有下雨,太阳还挂在天上,让人觉得有些奇怪。

高温其实和台风有关。一个叫杨柳的台风,它在远处影响着天气。它的外围下沉气流,把热气压在了地面上,所以才有了那种闷热感。
这个台风是今年第二个强台风。到它为止,已经有五个台风在我国登陆了。每个台风都在靠近陆地前增强,这个情况有点不寻常。
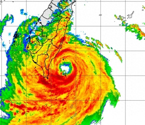
八月十三号凌晨,杨柳在台湾附近的海面上,强度快速增强。下午一点钟,它就在台东登陆了,登陆时是一个强台风。

风真的很大。
绿岛的气象站记录到的风速是每秒六十三点四米。兰屿的风速也差不多,每秒六十二点四米。这都是十七级以上的风力了。
台湾的东南部下了很多的雨,雨量很大,有些地方出现了特大暴雨。不过杨柳这个台风的个头并不大,移动的速度也很快。
所以它在台湾造成的影响,和之前的格美台风,还有今年的丹娜丝台风比起来,要小一些。算是不幸中的一点小幸运吧。
八月十三号下午四点,它就离开台湾岛了。它穿过了台湾中间接近四千米高的中央山脉,核心结构被高山给破坏了。

所以它会变弱。
它会在八月十四号凌晨前后,在福建漳州或者广东潮州一带的沿海再次登陆。强度大概是十二级台风的水平,风力会小很多。
对福建和广东来说,只要有准备,防御风的压力不大。
雨水是另一回事。
台风杨柳会把西南季风和东风急流的水汽都卷进来。它周围会形成很多的暴雨云团,这些才是它登陆后的主要影响。
因为杨柳的结构不平衡,雨主要下在台风中心的南边。随着它往内陆走,会拖着一条巨大的雨带前进,影响范围很广。

雨会下到哪里?
福建的东南部和广东的东部会先迎来降雨。珠江三角洲地区还有广东的北部山区,也会有暴雨,潮汕地区可能出现特大暴雨。
江西省的南部,湖南省的中部和南部,也会被这场雨波及。雨势会不小,山区需要注意防范山洪和地质灾害的发生。
雨带还会继续向西移动。广西北部和贵州中北部地区,也都在降雨的范围之内。桂北和贵州的山区,雨量也可能很大。

就连四川盆地和重庆也能分到一些台风雨。台风的水汽会送到那里,给这些内陆地区也带来一次难得的降水过程。
台风的水汽输送距离很远。它甚至会影响到中国北方的天气。内蒙古和东北三省,还有京津冀地区,雨水也会变多。
之后呢?
杨柳穿过内陆,最终会在四川盆地周围的山里消散。但它并不会把所有的水汽都用完,事情还没有结束。

它会在南海和太平洋上留下两个"尾巴"。这些是它带来的水汽残留,可能会在八月十六号前后,趁着杨柳消散而得到发展。
这两个东西离得太近,未来的发展有很多不确定性。它们可能各自发展,变成新的台风。也可能合并成一道季风槽。
但不管变成什么,它们都会再次扑向我国南方。因为北边有强盛的高压系统挡住了它们的去路。所以大范围的降雨还会再来。

如果真的形成了新的台风,那么暴雨的重点区域就是海南岛。那里的风雨天气到时候会变得很糟糕,需要提前做好准备。
如果只是形成季风槽上岸,那么暴雨的重点又会回到广东、福建南部和广西、湖南这些地方,广东的降雨可能会更多。










