• 首页
  • 新闻
今日热点 :
    • 推荐
    • 社会
    • 军事
    • 娱乐
    • 财经
    • 历史
    • 国内
    • 国际
    • 笑话
    • 汽车

    康妮

    搜索与 康妮 相关的新闻
    • 受台风“康妮”影响,上海明天或有大雨

      康妮 台风 阵风 2024/10/30

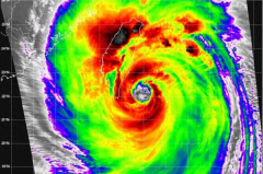
    • 台风“康妮”有可能登陆浙闽沿海,上海雨势会十分猛烈,多地雨量将打破历史

      康妮 台风 局地 2024/10/31

    • 台风预警刚刚发布!上海天气突变,全市转雨,“康妮”即将登陆,多趟列车停

      台风 康妮 地区 2024/10/31

    • 中央气象台:台风“康妮”继续影响东南沿海 华北黄淮等地有雾和霾天气

      地区 局地 康妮 2024/11/04

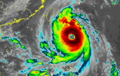
    • 17级!30日“康妮”升级为超强台风

      台风 康妮 气象台 2024/10/30

    • 台风即将影响江苏,暴雨!大暴雨!

      台风 地区 康妮 2024/10/30

    • 台风康妮逐渐危险!江浙沪闽将迎狂风暴雨

      台风 康妮 江浙沪 2024/10/29

    • 台风来袭!台湾省全部停班停课 各地纳入警戒区

      台风 康妮 沿海地区 2024/10/31

    • 台湾省全部停班停课,各地纳入警戒区

      台风 台湾 康妮 2024/10/31

    • 江苏气象发布:台风将至!最低6℃!

      康妮 气温 冷空气 2024/10/29

    • 为何秋台风这么猛烈?气象专家:秋台风比夏台风更“狠”

      台风 康妮 渔船 2024/10/31

    • 台风“康妮”拐弯跑偏,暴雨大暴雨已确认,11月1号降雨分布如下

      台风 康妮 登陆 2024/10/31

    • 台湾省全部停班停课,台铁东部干线全线停驶,各地纳入警戒区

      台风 康妮 干线 2024/11/01

    • 特大暴雨来了!台风潭美靠近康妮殿后

      台风 天气预报 康妮 2024/10/26

    数据加载中...
    今日热点
    更多
    • 非洲最奇怪的红泥族:赤裸为美,女人几乎不洗澡,男人难活到15岁

    • 我国唯一富过17代的家族,坐拥上海近一千栋房屋,子孙大都上哈佛

    • 父子三人娶同一个女人,本以为是个笑话,没想到却是真实的历史

    • 林冲买刀花一千贯,武松打虎知县赏一千贯,一千贯是现在多少元?

    • 乾隆告诫儿子不要杀和珅,嘉庆却不听,15年后才明白乾隆的苦心

    • 日本人为什么要毒死李士群?读懂背后的深层次原因,需要国际视野

    • 康熙皇帝驾崩当晚,雍正为何要立刻处死随侍康熙60年的心腹

    • 《生化危机9:安魂曲》女主格蕾丝的Cosplay作品欣赏
    推荐阅读
    更多
    1. 总台记者观察丨美国宣布同意停火后 以伊一度继续交火
    2. 俄罗斯召见日本大使 抗议日企助乌研发军用无人机
    3. 74岁英国奶奶独自闯中国,一场跨国网友导游接力温暖全网
    4. 中方宣布好消息,又有贵客访华!四年来四次,西班牙首相目标明确
    5. 李佳琦回应将短暂退出直播:没有退休!是两个月不是两个季度
    6. 破纪录!多地超40℃高温
    • 刷新
    • 热点
    • 顶部
    焦点资讯 速下 中华网软件 联系我们
    © 中华网    京ICP备18035944号-2