
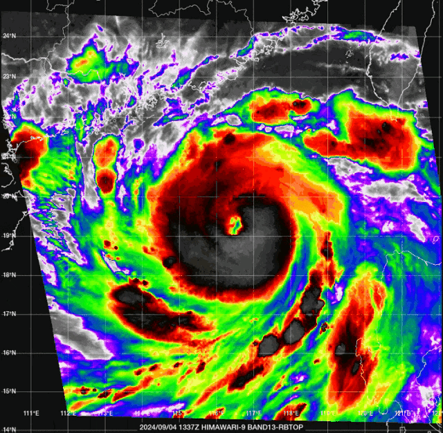
近日,我们首先关注的那就是今年第11号台风的动向问题,目前已经演变成为17级的超强台风,目标将是在海南岛东北、琼州海峡、广东西部登陆。
今天早晨5点,台风摩羯中心位于位于广东徐闻东偏南方大约630公里的南海北部海面上,中心附近最大风力有17级,即风速为58米/秒。七级风圈半径300~350公里,十级风圈半径140公里,十二级风圈半径80公里。

目前台风摩羯突然出现了南压,也就是向南拐弯,正以每小时10~15公里的速度向偏西方向移动。速度可以说不是特别大,强度变化也不大。但后期是否路径再次发生转移,或者说进一步的跑偏,就要看副热带高压带来的影响。
根据气象部门预测,预计6日下午到夜间在海南、龙州海峡、广东西部的电白灯一带沿海区域登陆。登陆时中心最大风力达到16~17级,可以说是一个超强台风级别。7日就到达了北部湾,然后向广西南部越南北部移动势力进一步的减弱。
近日,西风槽进一步加强,加上北方的冷空气南下,给我国带来大范围的强降雨过程,可以说是秋雨送来凉爽。

根据中央气象台最新信息显示,预计今天东北东部、内蒙古中西部、西北地区东部和南部,西南地区华中南部、华南中南部和西部、黄淮等地区有小到中雨,局部地区有大到暴雨或大暴雨。
其中内蒙古西南部、宁夏西北部、甘肃中部、青海东部、西藏东南部、四川南部、云南西部、广东南部沿海、海南岛、台湾岛南部等地有大到暴雨或大暴雨,最大降雨量为150毫米。
今天台风摩羯外围环流已经影响到了广东南部、海南岛,局部地区将有大暴雨级别的降雨过程。

为什么这次台风摩羯进入南海继续增强呢?
台风摩羯进入南海之后突然发力,用了不到一天的时间上升到了15级。
关键是台风摩羯继续增强,可能在今明两天将会增长至17级超强台风。这种超强台风破坏力是非常强的,带来的就是狂风暴雨。登陆之后,可能会出现局部区域的龙卷风。
专家解释主要是因为南海水域水温较高,和西南季风共同作用的影响。

目前南海的水温比较高,尤其南海北部水温30米深的水温达到28~30度之间。这么高的水温利于海水的蒸发,然后使得台风摩羯增强。
其实台风就是热带风暴的高级表现形式,就是一个大水囊,所到之处狂风暴雨带来的就是降雨过程。
台风并非是坏事。尤其对于我国大陆性季风气候来说,很容易出现高温干旱的天气。这个气候受到副热带高压的控制,尤其是副热带高压下沉会造成局部出现高温区。

台风到来之后或者台风的外围环流会使得这些地方形成降雨过程,尤其立秋之后降雨很容易使得气温下降,毕竟雨水蒸发会吸收大量的热量。
最终这次台风摩羯对我国影响的区域不是特别大,主要影响到广东南部海南岛和广西中南部区域。当然外围环流会给华南、长江南部、西南地区等带来有效的降雨过程,使得这些地方的高温天气得到缓解。
随着新一轮降雨天气的全面来袭,中央气象台已经正式发布了气象预警消息,对于我们农民来讲,粮食面临减产的风险越来越大,甚至有些人说哪怕粮食减产了,今年的粮食价格也都不会美丽。










