近日,最关注的台风那就是今年第11号台风摩羯的生成,并且路径走向问题。毕竟这个台风等级迅速的增加,不断地壮大。

这个台风"摩羯"于9月1号生成,9月3号穿过菲律宾最西北端的半岛,然后进入我国南海区。
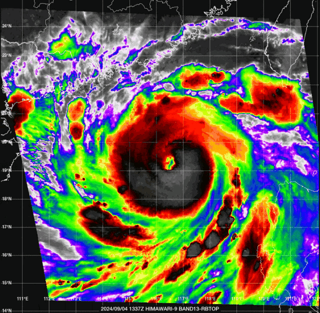
说来也怪,这个台风在进入南海之后突然出现了乏力的现象中心,最大风力已由11级增强到了目前15级。
这个台风摩羯的升级速度相当快,用了不到一天的时间,其实台风在气象记录中升级最快的至少也要一天半的时间。
为什么台风摩羯升级这么快呢?
原因有两方面:第一方面那就是南海的水温不断地上升。或许是因为入秋以来南海雨水偏少,以至于海面水温上升非常的快,毕竟太阳即将到达赤道附近。
根据气象部门数据统计,在南海的北部地区30米深的水温一般在28~30度之间,可以说是一个大的暖海域。或者说就是一个大的暖水袋,这样高温利于南海的水汽蒸发。

尤其是台风摩羯进入南海之后,狂风巨浪形成的热带低压风暴持续加强,更利于水汽的聚集。
另一方面,那就是西太平洋吹来的暖湿气流,更增强了台风摩羯的气流流通。
目前,台风摩羯已经形成了中心的圆圈云层,可以说目前已经达到了15级强台风,预计在登陆之前将达到16~17级的超强台风。

台风进入南海之后,路径发生了极大的偏转,或者说就是跑偏了,没有按照专家规定的路线将登陆我国广东、福建沿海一带,而是路线突然出现了40多度的向南转弯。也就是说台风路线南压,最终登陆地点将在南海东北部和广东西部地区。
目前海南和广东应急总指挥部对于台风摩羯即将到来进行研究。预计在台风登陆的相关区域内,可能会下发"三停一休"的通知:停工、停产、停课和休市!
预计在7号前后台风摩羯会到达广西南部这些区域,给我国华南南部西南地区南部带来有效的暴风骤雨,登陆时最大的风力可能达到15级。对于广东和海南岛登陆的风力最大能达到16~17级,成为超强台风。
对于今年的秋老虎天气来说,可以说持续时间非常的长。

专家已经给出了今年三伏天是有完整的气象记录以来,最热的一个三伏天。今年三伏天平均温度为23.24度,可以说是最高的记录。
或许有人认为23.24是非常凉爽的天气,但这是一个平均的温度,也就是说三伏天每一天的高温和低温的平均值,然后三伏天40天的平均值总和的平均值。这样温度就显得最高了。
尤其杭州今年"桑拿"天气的三伏天持续了38天。这可是有气象记录以来最热最长的一个地方。
就目前来说,秋老虎天气还是依然存在。主要地点是在江淮中西部、江南、华南中西部、西南地区东部等,尤其是四川东部、重庆本地的中午最高气温达到了40度以上。比如今天重庆的开县达到了最高温度为43.1度,这是非常罕见的秋老虎的高温天气。

今年形成秋老虎天气的原因是什么?
根据专家解释,那就是副热带高压范围广势力强造成的。也就是副热带高压势力特别的强,然后下沉使的地面气温飙升,阳光充足,地表温度上升快。
根据重庆入学的大学生表示,近期重庆的气温特别的热,尽管气象部门给出了40度的以上高温天气,但是体感温度达到了近50度,即便是立秋的晚上也是热乎乎的。也许主要这是重庆的山城地势决定的。
最主要的原因是因为副热带高压控制着大气层,迫使着雨水向西北地区、东北地区、内蒙古地区、西南地区西部移动。这就是为什么这些地方近期雨水偏多的原因,比如青海大通有了洪水出现,内蒙古持续多日突降大雨,这是非常罕见的强对流恶劣天气。

缓解我国秋老虎天气的最有效的方法,那就是台风的到来。目前台风摩羯在我国广西南部、广东西部登陆,但是其外围环流影响是非常大的,一般都超过2000公里。
所以对于我国的重庆、四川、云南和华南等地方带来有效的降雨过程,当然也起到了降温的效果。
由于台风速度较快或者副热带高压基础较高,海平面的水温较高,所以雨过天晴,"秋老虎"天气还会回来。比如台风摩羯对于重庆的影响,也只是天气最高温度从41~42度高温下降到38度左右高温。
要想使得我国长江流域、江南等"秋老虎"天气彻底结束,那就需要等待台风摩羯之后的另两个台风到来。预计今年"秋老虎"天气结束的时间在中秋节到来之后,也就是9月17到20号之间。










